Fegyverkezési versenyben a kártevők és a növényorvosok
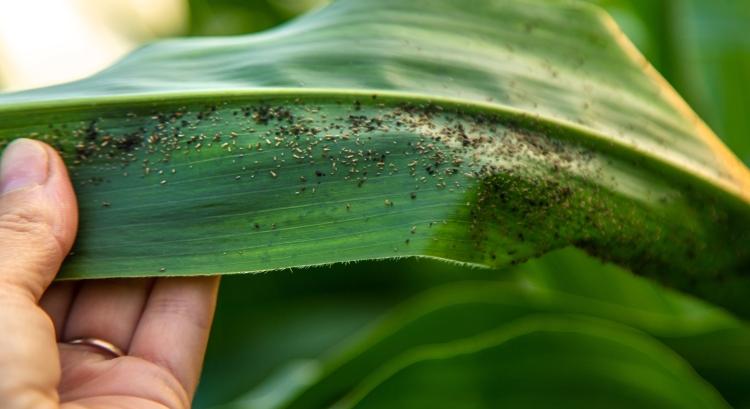
A gyorsan változó környezet az egyszerű élőlényeknek kedvez, de a növényorvosok nem adják fel a versenyt.
- Hirdetés -
- Hirdetés -
A gyorsan változó környezet az egyszerű élőlényeknek kedvez, de a növényorvosok nem adják fel a versenyt.
- Hirdetés -