Miért lett ilyen brutális a Melissa hurrikán, és mi vár ránk a jövőben?
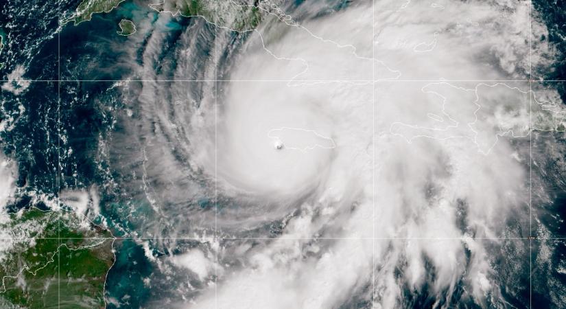
Az Atlanti-óceán térségében kialakult hurrikán a valaha tapasztalt legerősebb trópusi ciklon, amely szárazföldi területet ért el. A földi széllökések rekordját is megdöntötte 405 km/órával.
- Hirdetés -

