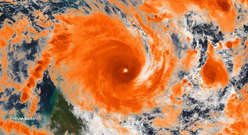
Egy új felfedezésnek hála már hetekkel előre megjósolhatóak lesznek a trópusi viharok

Igazi tudományos áttörés lehet a nemrég felfedezett éghajlati modell. A TWISO segítségével előre megjósolhatóak lesznek a trópusi viharok.

Egy új felfedezésnek hála már hetekkel előre megjósolhatóak lesznek a trópusi viharok

Hamarosan átirányítunk a teljes cikkhez → Köpönyeg

Ha nem irányítanánk át automatikusan, kattints ide!