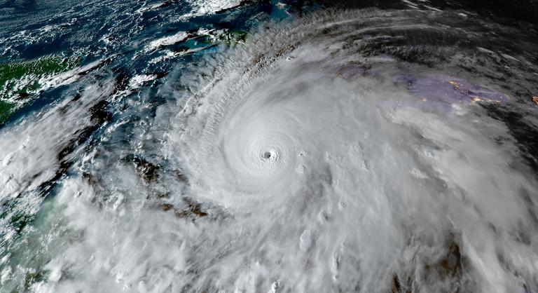
Óránként 282 kilométeres széllökésekkel érkezik Melissa, a jamaicai miniszterelnök térden állva imádkozik

A térségben már halálos áldozatai vannak a viharnak.

Óránként 282 kilométeres széllökésekkel érkezik Melissa, a jamaicai miniszterelnök térden állva imádkozik

Hamarosan átirányítunk a teljes cikkhez → Index - Külföld

Ha nem irányítanánk át automatikusan, kattints ide!